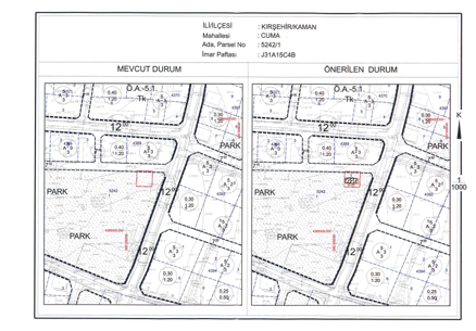
Belediye Meclisinin 06/03/2025 Tarih ve 17 Sayılı kararı
İlgide kayıtlı Meclis Kararında; İlçemiz Sarıuşağı Mahallesi sınırları içerisinde bulunan İmar 4555
PDF İçin Tıklayın
Ada'nın kuzeydoğusunda bulunan yaklaşık 160 m² yüzölçümlü Park Alanından yaklaşık 50 m² alanın
"Trafo Alanı" olarak planlanması ile ilgili hazırlanan 1/1000 Ölçekli Uygulama İmar Planı (UİP401084217) Değişikliğinin onaylanmasına karar verilmiştir.






